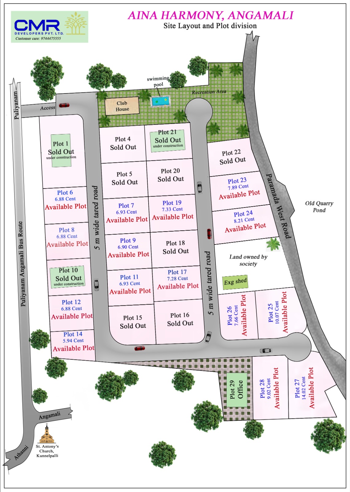
AINA HARMONY, ANGAMALY
Work is in progress for our latest project in Angamaly, Ernakulam - CMR Aina Harmony. Luxury villas with all modern amenities including swimming pool, awaits few discerning families.
This property is in possession of CMR Villa Project, Work starts soon after RERA approval..
(Not an advertisement for sale)





Share This Page to your friends


What do you get extra with your CMR Villa?
❖ Pleasant and Convenient Location
❖ 60 cents for modern common facilities
❖ Swimming Pool
❖ 1500 Sq. Ft. Conference Hall & Library
❖ Gated Community
❖ Club House
❖ Open Well with plenty of pure natural water
❖ Bore Well & Municipality Connection
❖ Shuttle Court
❖ Interlock Paving
❖ CCTV
❖ Compound Wall
❖ Wide Tarred Road
❖ Garden & Children's Play Area
❖ Bio Gas Plant
❖ Open Stage & Party Area
❖ Drivers' Dormitory
❖ 24x7 Security
❖ 3 Phase Electricity
❖ Waste Management System
In search of a dream luxury villa Near Cochin International Airport? Don’t look further, Enquire right away.



Locate Us
